Completed Developments
Beaumont Ridge
Beaumont Ridge is a beautifully developed subdivision nestled in the rolling hills and scenic landscapes of Lake Country, within the Village of Merton. Surrounded by natural beauty, the community features pedestrian-friendly walking trails that lead to a charming local park, offering a peaceful retreat for residents. Nearby, golf enthusiasts can also enjoy the acclaimed Ironwood Golf Course. This is just one of the many appealing amenities in the area.
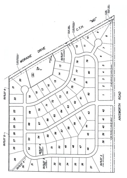
Beaumont Ridge consists of 82 thoughtfully planned home sites. The subdivision is now fully developed, and no additional lots are currently available for sale.
If you have questions about the community or would like more information about similar opportunities, feel free to contact me:
Office: 262-327-5014
Thank you again for your interest in Beaumont Ridge. Please don’t hesitate to reach out for additional information or to explore other upcoming developments.

Beaumont Ridge Subdivision is located in the heart of the Lake Country area in the Village of Merton and includes 82 single-family home sites ranging in size from 40,000 square feet (slightly under one acre) to approximately two acres. The topography is gently rolling which allows for exposed basements and several lots bordering woods with beautiful hardwood trees.
Location
Beaumont Ridge Subdivision is located approximately one mile south of Silver Spring on Moraine Drive (Hwy MD.) It is the parcel west of Hwy MD and north of Ainsworth Rd in the Village of Merton. It is directly across the street from Iron Wood Golf Course.
Basic Restrictions
- All lots in Beaumont Ridge are restricted to the erection of a one story, story and one-half or two story single family residence with a minimum of an attached 3 car side entrance garage.
- Minimum living area of home are as follows:
Ranch 2400 sq ft. Two Story 2800 sq ft . - Minimum setbacks are as follows:
Front yard – 50 feet
Side yard – 25 feet
Rear yard – 50 feet
Corner -50 feet
Public Schools
Richmond Elementary School
4 Year Old Half Day Kindergarten (AM or PM)
5 Year Old All Day Kindergarten thru Grade Eight
Arrowhead High School Grade Nine thru Grade Twelve
Developers
Ogden & Meadow Brook Homes
Quiet Meadow
Quiet Meadows offers the best of both worlds: peaceful country living with the convenience of city services. Including municipal sewer and water, underground utilities, cable, curb and gutter, sidewalks, and streetlights. This thoughtfully designed subdivision features 28 beautiful lots ranging from just over an acre to just under half an acre, many of which are graced with mature trees that attract birds, wildlife, and provide natural beauty year-round.
A highlight of the community is the 5.65-acre conservancy area, home to birds, bunnies, raccoons, and other woodland creatures. Residents can enjoy the scenic walking path that winds through the conservancy, offering a daily connection to nature. As a member of the Quiet Meadows Subdivision Association, homeowners share ownership of this tranquil space.
Please note: Quiet Meadows is now fully developed, and no additional lots are available for sale.
If you’re interested in similar communities or would like more information, feel free to contact me:
Office: 262-327-5014
Thank you again for your interest in Quiet Meadows. I’d be happy to share details about future opportunities or answer any questions you may have.

Where?
In fast growing Johnson Creek. Just South of 194 on Highway 24 East on County Highway B, and then South on Wright Road. Be watchful, it fits in so well you might miss it.
Basic Restrictions:
- Ranch Home: 1600 square feet
- Two Story: 1800 square feet
Also Required:
Dimensional shingles and at least a two car-attached garage.
Schools:
The elementary school, Junior, and Senior High are just five minutes away.

